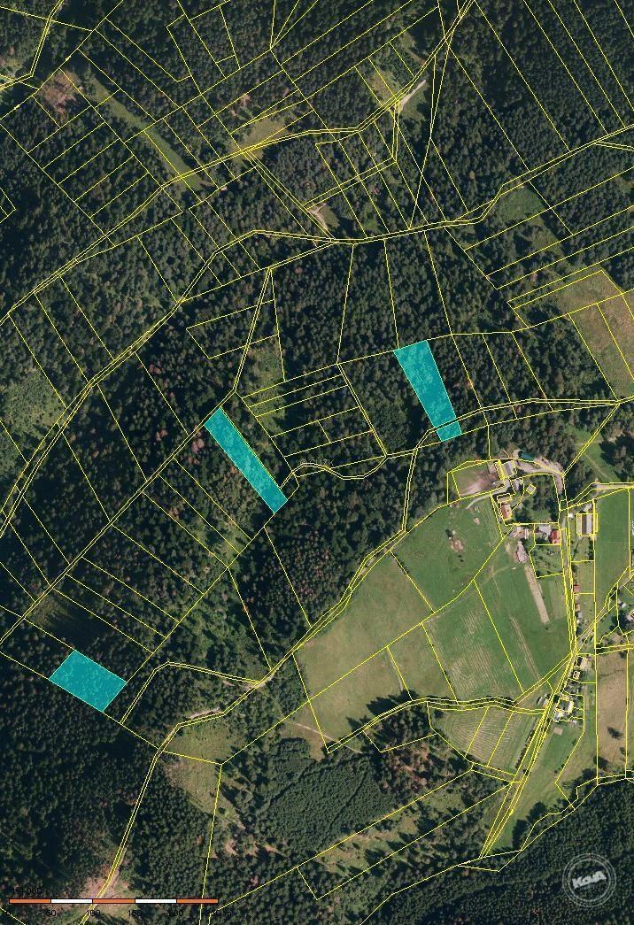
Opakovaná aukce lesních pozemků, cca 11 tis m2, Návsí, okr. Frýdek-Místek

Frýdek-Místek, Návsí
142 045 Kč
Výtěžek dražby

Prodej lesních pozemků formou elektronické aukce, která proběhne 26.4.2022 v 10:00 a jedná se o tyto pozemky:
• Pozemek parc. č. 1692/8 o výměře 409 m2 – lesní pozemek;
• Pozemek parc. č. 1710/5 o výměře 3 528 m2 – lesní pozemek;
• Pozemek parc. č. 1885/2 o výměře 3 425 m2 – lesní pozemek;
• Pozemek parc. č. 1885/7 o výměře 3 334 m2 – lesní pozemek;
vše zapsané v katastru nemovitostí u Katastrálního úřadu pro Moravskoslezský kraj, Katastrální pracoviště Třinec, na LV č. 4321, pro katastrální území Návsí, obec Návsí, okres Frýdek – Místek,

Vítězem aukce se stává Účastník aukce, který učinil nejvyšší podání.

Nabídka
Nabídka
Číslo zakázkyKP011763
Druh zakázkyDražba
Stav zakázkyZrealizováno
Aktualizace26.04.2022
Dražba
Dražba
Druh dražbyAukce
Datum dražby 26. 04. 2022  10:00
Místo dražby www.jrdrazby.cz
Termín první prohlídky 26. 04. 2022  10:00
Termín druhé prohlídky 26. 04. 2022  10:00
Výtěžek dražby 142 045 Kč
Tržní cena 238 090 Kč
Minimální příhoz 1 000 Kč
Jistina 1 Kč
Parametry
Parametry
Nemovitost
Využití z hlediska ÚPZemědelství
Forma vlastnictvíOsobní
Plochy
Plocha parcely 10 696 m2
Inženýrské Sítě
Zobrazit na mapě
Zobrazit na mapě
Cenové podmínky
Cenové podmínky
142 045 Kč
Výtěžek dražby
238 090 Kč
Tržní cena
1 Kč
Jistina
Zobrazit postup dražby
Zobrazit postup dražby

Klikněte na tlačítko "Zajímá mě průběh" a podívejte se, kolik dražitelů se této dražby zúčastnilo a v jaké výši byly jednotlivé příhozy.

Potřebujete poradit? Spojte se s námi
+420 257 313 330

Vaše osobní údaje využijeme pouze za účelem komunikace o zaslané nabídce. Nebudeme vám zasílat newsletter ani vaše údaje nepředáme třetím stranám.
Více o ochraně osobních údajů zde.