Dražba pozemků o výměře 4 152 m2, Praha, Hájek u Uhříněvsi

Praha 22, Hájek u Uhříněvsi
250 000 Kč
Výtěžek dražby

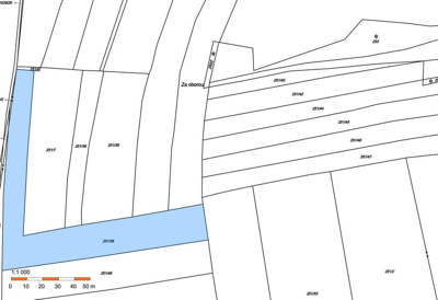
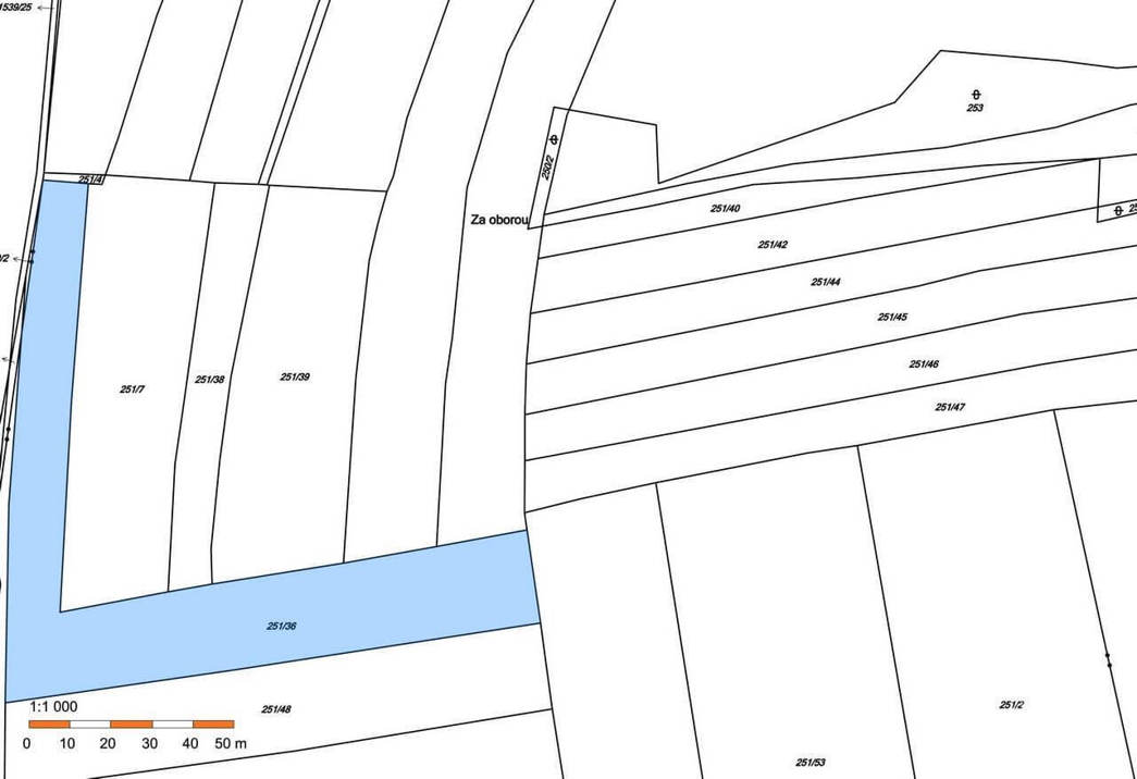
Pozemek parc. č. 251/36 o celkové výměře 4152 m2, vedený v katastru nemovitostí jako orná půda. Jedná se o pozemek ve tvaru písmene L, který je součástí velkého lánu pole. Územním plánem je pozemek zařazen do území OP – orná půda, pěstování zeleniny. Pozemek není oceněn v cenové mapě stavebních pozemků hlavního města Prahy.

Nabídka
Nabídka
Číslo zakázkyKP011411
Druh zakázkyDražba
Stav zakázkyZrealizováno
Aktualizace11.02.2021
Dražba
Dražba
Druh dražbyDobrovolná
Datum dražby 12. 06. 2018  11:00
Místo dražby www.jrdrazby.cz
Termín první prohlídky 31. 05. 2018  15:00
Termín druhé prohlídky 07. 06. 2018  15:00
Výtěžek dražby 250 000 Kč
Tržní cena 784 700 Kč
Minimální příhoz 10 000 Kč
Jistina 30 000 Kč
Parametry
Parametry
Nemovitost
Využití z hlediska ÚPZemědelství
Forma vlastnictvíOsobní
KomunikaceNe
Plochy
Plocha parcely 4 152 m2
Inženýrské Sítě
Zobrazit na mapě
Zobrazit na mapě
Dokumenty k dražbě
Dokumenty k dražbě
Cenové podmínky
Cenové podmínky
250 000 Kč
Výtěžek dražby
784 700 Kč
Tržní cena
30 000 Kč
Jistina
Zobrazit postup dražby
Zobrazit postup dražby

Klikněte na tlačítko "Zajímá mě průběh" a podívejte se, kolik dražitelů se této dražby zúčastnilo a v jaké výši byly jednotlivé příhozy.

Potřebujete poradit? Spojte se s námi
+420 257 313 330

Vaše osobní údaje využijeme pouze za účelem komunikace o zaslané nabídce. Nebudeme vám zasílat newsletter ani vaše údaje nepředáme třetím stranám.
Více o ochraně osobních údajů zde.